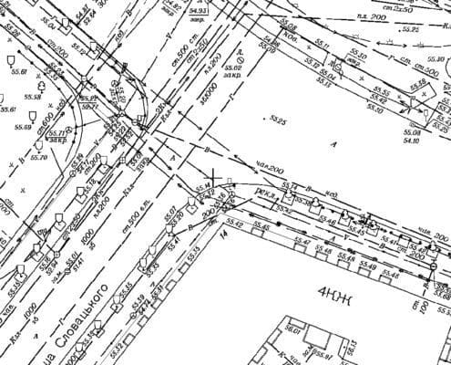
Схема місцевості. Ситуаційний план М 1:2000
Схема місцевості
Схема місцевості, або як її ще називають ситуаційний план, нагадує план-карту певної земельної ділянки та прилеглої місцевості, де ділянка розташована. /span>
Геодезичні карти повинна відповідати вимогам та складатись у потрібному масштабі. На схему наносять загальні дані, до яких відносять адресу, інформацію про замовника, назву об’єктів нерухомості.
Схема місцевості – це графічний документ, що засвідчується компанією, яка несла відповідальність за його складання та проводила відповідні роботи. Це офіційний документ, але великого значення без підписаних проектів немає, проте без документа не обійтися.

Для чого потрібна схема місцевості
Схема території знадобиться для реконструкції, будівельних робіт, під час проектування. На підставі даних схеми все розроблятиметься. Також схема місцевості необхідна для приватизації ділянки.
Все що знаходиться поряд з ділянкою місцевості, що вивчається, має бути нанесено на топоплан. До таких об’єктів обов’язково відносять: міст, залізниця, завод, станції чи підстанції – важливі стратегічні об’єкти. Обов’язково потрібно вказувати точний розмір кожної з цих конструкцій.

Ситуаційний план
Ситуаційний план – складається з цілого комплексу схем, тому що кожна з комунікацій обробляється та наноситься окремою схемою (світло, опалення, газ, вода, зв’язок).
Основою складання схеми місцевості є топографічна зйомка досліджуваної території. Важливо, щоб ділянка мала кадастровий номер та інформація була занесена до відповідного реєстру. Від якості виконання зйомки та необхідних інженерно-геодезичних робіт залежить точність та відповідно схеми реалій.
Топографічні карти та плани складають у камеральних умовах, крім графічного варіанту є електронна версія.
Для цього під час робіт необхідно використовувати спеціальне обладнання – електронний тахеометр, який працює у парі з блоком обробки інформації. Таким чином, вимірювальні дані зберігаються на обладнанні, після чого складається цифрова модель місцевості. Графічна побудова схеми та плану місцевості здійснюється на основі результатів вимірювань та обробки знімального обґрунтування, тахеометричної та горизонтальної зйомки. Крім професійного обладнання та інструментів, для складання схеми також знадобляться відомості, журнали та абриси зйомки.
Зміст схеми місцевості
Схема місцевості складається не тільки з графічного зображення, але й детального опису та аналізу за такими факторами:
- рельєф;
- особливості ґрунту;
- розмір та площа ділянки;
- наявність та глибина ґрунтових вод;
- клімат;
- рівень освітленості.
План місцевості допоможе вам у будь-яких питаннях, а якщо ви звернетеся до нас за допомогою, ми постараємося максимально швидко, точно і якісно надати роботи, по їх завершенню звіт.
Ціна. 2026
| Послуга | Термін | Ціна |
| Викопіювання М500 та М2000 для підключення | від 1-го дня | від 300 грн |
| Топографічний план М500 погоджений з архітектурою “ПРИДАТНО” | від 10-днів | від 2500 грн |

