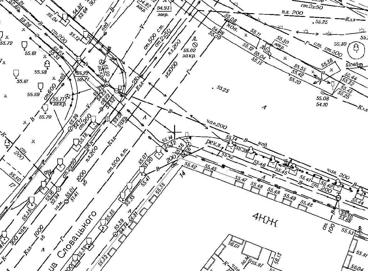
П’ятисотка, зйомка з печаткою «Придатно»
Що означає п’ятисотка. Масштаб 1:500
Геодезичні роботи є невід’ємною частиною процесу будівництва та планування території.
Одним із найважливіших елементів геодезичних робіт є зйомка території. Вона дозволяє отримати точну інформацію про геометричні параметри об’єкта та створити топографічний план масштаба М1:500, який називається “Пʼятисотка“.

Обов’язкові характеристики:
- рельєф місцевості;
- водні ресурси;
- координати ділянки;
- розміри ділянки;
- та інші кількісні показники.
А ось якісні показники вивчаються строго відповідно до масштабу.
Як проводитися топозйомка 1:500
Зйомка території проводиться за допомогою спеціального обладнання, такого як тахеометр, приймач GPS та інші інструменти.
Ці пристрої дозволяють вимірювати відстані, кути та висоти, що дозволяє створити точний топографічний план масштабу М1:500.
После завершения топозйомки території створений топографічний план необхідно перевірити на відповідність встановленим нормам та вимогам. При цьому необхідно враховувати багато факторів, таких як архітектурні особливості території.
Придатно – як отримати?
Коли топографічний план масштабу М1:500 відповідає всім необхідним вимогам, його необхідно узгодити з місцевим органом архітектури.
Для цього плану проставляється друк “Придатно”, який підтверджує його відповідність встановленим нормам та вимогам.
Одержання друку “Придатно” є важливим етапом геодезичних робіт. Вона підтверджує, що топографічний план масштабу М1:500 готовий до використання у подальшому плануванні території та будівництві об’єктів.
Етапи замовлення топографічного плану масштабу 1 500
Створення топографічного плану здійснюється у кілька етапів:
4.1 Підготовчі заходи: збирання документації; підняття архівних матеріалів; обговорення та уточнення всіх нюансів із замовником.
4.2 Польові роботи: збирання документації; підняття архівних матеріалів; обговорення та уточнення всіх нюансів із замовником.
4.3 Камеральні роботи: вивчення території; зйомка із застосуванням тахеометра в масштабі 1:500; трасування комунікацій, що пролягають під землею; прив’язка земельної ділянки до загальної системи координат.

Результат роботи з отримання “Придатно”
На закінчення, геодезичні роботи є невід’ємною частиною процесу будівництва та планування території.
Геозйомка території дозволяє створити точний топографічний план масштабу М1:500, який необхідно перевіряти на відповідність встановленим нормам та вимогам.
Коли топографічний план відповідає всім необхідним вимогам, його необхідно узгодити із місцевим органом архітектури.
Після погодження на плані проставляється друк “Придатно”, який підтверджує його відповідність встановленим нормам та вимогам.
Важливо зазначити, що узгодження та отримання друку “Придатно” може зайняти значний час, і це необхідно враховувати під час планування геодезичних робіт.
Також варто враховувати, що невідповідність топографічного плану встановленим вимогам може призвести до затримок та додаткових витрат у процесі будівництва та планування території.
Ціна. Масштаб 1:500
| Послуга | Термін | Ціна |
| Ситуаційний план М1: 500 | 1 день | 500 грн |
| Топографічна зйомка | від 10 днів | від 3000 грн |

