Геодезія водойми
Геодезія водойми: особливості відтворення карти дна
Геодезична зйомка являє собою проведення робіт інженерного та розвідувального характеру, які пов’язані з топографією та передбачають картування дна водойм.
Це стосується і природних, і штучних водойм, наприклад:
- ставкам;
- водосховищ;
- озерам;
- річкам;
- морям;
- накопичувачам стічних вод.
Основні завдання здійснення геозйомки водоймища
Побудувати топокарту об’єкта води, вивчивши особливості дна, потрібно у таких випадках:
Зйомка прибережної зони водоймища
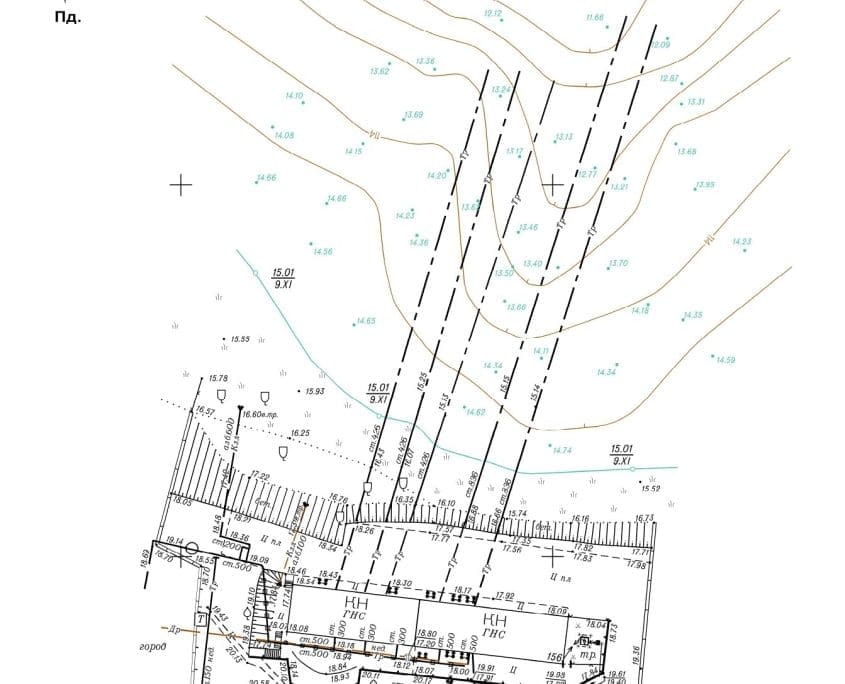
Практично кожне друге дослідження та проведення гідрографічної зйомки вимагає проведення робіт на дні та на берегах водойми. Берегова лінія річки важлива під час зйомки русла. Розмір обов’язкового захоплення берегів вказується під час упорядкування технічного завдання для проведення геодезичних робіт. Якщо величина не вказана, тоді необхідно проводити дослідження згідно з вимогами та нормами, які регулюють послідовність проведення топозйомки русла.

Особливості проведення гідрозйомки: масштаб
Для проведення геозйомки дна водного об’єкта та побудови його гідрокарти застосовується звичний нам масштаб п’ятисотка для середніх водойм та масштаб 1:5000 для великих водоймищ та озер. Основним завданням при проведенні гідрографічної зйомки є вимірювання глибини дна та основних точок водойми плюс мінус з незначною похибкою.
Похибка визначається особливістю обладнання, що використовується. На глибині до 10 метрів допускається похибка 10 см, до 20 метрів +/- 20 см, глибше 20 метрів дозволена похибка 50 см. Дізнатися дані про день водоймища варто не тільки в одній точці вимірювання, але і на відстані від неї.
Найбільш трудомісткою процедурою в геодезії вважається дешифрування даних. Тому застосування гідролокації та способів вимірювання працюють якісно на великих об’єктах, де на водоймі можуть бути невеликі предмети.
Аерофотозйомка берегової лінії
На сьогодні технології не стоять на місці, а постійно розвиваються. Тому досить популярна серед замовників гідрографічна аерофотозйомка. Аерофотозйомка дає змогу результативніше провести польові роботи та отримати значну частину інформації, щоб потім спроектувати топоплан берегової лінії.

Результат: оформлення підсумків гідрографічної зйомки
Зрештою проведення зйомки оформляються такі документи:
1гідрографічний топоплан водойми та берегової лінії заданою шириною у вигляді креслень, масштаб якого обумовлюється на підготовчих етапах;
2у разі потреби дублювання паперового плану на електронний варіант плану водойми.
Наша геодезична компанія «МЕЖА» надає повний перелік геодезичних послуг з проведення гідрографічної зйомки та складання відповідного топоплану.
Якість та оперативність проведення геозйомки залежить від рівня кваліфікації геодезистів. У нас задіяні лише висококваліфіковані фахівці, які мають сертифікати на проведення тих чи інших видів геодезичних робіт за допомогою спеціального геодезичного обладнання.
Фахівці відразу можуть орієнтуватися на незнайомих місцевостях і вносити коригування до списку робіт у міру виконання технічного завдання. А гармонійна робота всіх співробітників над проектом дозволяє забезпечити високу якість та швидкість виконання робіт чи послуг.
Ціна. Геодезія водойми
| Послуга | Термін | Ціна |
| Геодезія водойми | від 1-го дня | від 3500 грн |