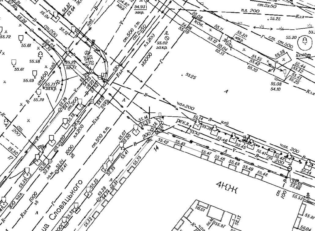
Пятисотка, съемка с печатью «Придатно»
Что значит пятисотка. Масштаб 1:500
Геодезические работы являются неотъемлемой частью процесса строительства и планирования территории.
Одним из важнейших элементов геодезических работ является съемка территории. Она позволяет получить точную информацию о геометрических параметрах объекта и создать топографический план масштаба М1:500, который называется “Пятисотка“.

Обязательные характеристики:
- рельеф местности;
- водные ресурсы;
- координаты участка;
- размеры участка;
- и прочие количественные показатели.
А вот качественные показатели изучаются строго согласно масштабу.
Как проводиться топосъемка 1:500?
Съемка территории проводится с помощью специального оборудования, такого как тахеометр, GPS-приемник и другие инструменты.
Эти устройства позволяют измерять расстояния, углы и высоты, что позволяет создать точный топографический план масштаба М1:500.
После завершения топосъемки территории созданный топографический план необходимо проверить на соответствие установленным нормам и требованиям. При этом необходимо учитывать многие факторы, такие как архитектурные особенности территории.
Придатно – как получить?
Когда топографический план масштаба М1:500 удовлетворяет всем необходимым требованиям, его необходимо согласовать с местным органом архитектуры.
Для этого плану проставляется печать “Придатно”, которая подтверждает его соответствие установленным нормам и требованиям.
Получение печати “Придатно” является важным этапом геодезических работ. Она подтверждает, что топографический план масштаба М1:500 готов к использованию в дальнейшем планировании территории и строительстве объектов.
Этапы заказа топографического плана масштаба 1 500
Создание топографического плана осуществляется в несколько этапов:
4.1 Подготовительные мероприятия: сбор документации; поднятие архивных материалов; обсуждение и уточнение всех нюансов с заказчиком.
4.2 Полевые работы: изучение территории; съёмка с применением тахеометра в масштабе 1:500; трассировка коммуникаций, пролегающих под землей; привязка земельного участка к общей системе координат.
4.3 Камеральные работы: разработка чертежей; создание технической документации (электронный и бумажный вариант); согласование работ и документации в контролирующих органах; передача готового топоплана заказчику.

Результат работы по получение “Придатно”
В заключение, геодезические работы являются неотъемлемой частью процесса строительства и планирования территории.
Геосъемка территории позволяет создать точный топографический план масштаба М1:500, который необходимо проверять на соответствие установленным нормам и требованиям.
Когда топографический план удовлетворяет всем необходимым требованиям, его необходимо согласовать с местным органом архитектуры.
После согласования на плану проставляется печать “Придатно”, которая подтверждает его соответствие установленным нормам и требованиям.
Важно отметить, что согласование и получение печати “Придатно” может занять значительное время, и это необходимо учитывать при планировании геодезических работ.
Также стоит учитывать, что несоответствие топографического плана установленным требованиям может привести к задержкам и дополнительным расходам в процессе строительства и планирования территории.
Цена. Масштаб 1:500
| Услуга | Срок | Цена |
| Ситуационный план М1:500 | 1 день | 500 грн |
| Топографическая съемка | от 10 дней | от 3000 грн |

